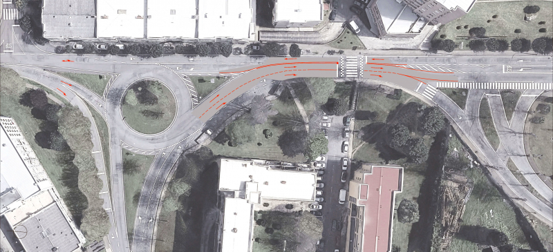
O Município de Braga informa que a reposição da via dupla no final da Variante de Real com a Rua de São Martinho será executada na próxima Segunda-feira, dia 19 de Janeiro, em período nocturno, entre as 20h00 e as 03h00.
A intervenção consiste na alteração da sinalização horizontal, permitindo que a via passe a ter duas faixas após a rotunda das Parretas. Nesse sentido, a faixa da direita passa a destinar-se aos veículos que se dirigem para a António Macedo, enquanto que a faixa da esquerda será utilizada para acesso ao centro da cidade.
A Polícia Municipal irá garantir a segurança operacional e a fluidez do trânsito ao longo do período da intervenção.
Município de Braga, 16 de Janeiro de 2025







